В Съединените щати се подготвят за урагана Флорънс.
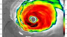
Според прогнозите докато стигне до източния бряг на САЩ Флорънс може да е от 4 степен. Губернаторът на Южа Каролина - Хенри Макмастър, вече обяви извънредно положение и призова жителите на щата да се подготвят, включително и за евакуация.
Хората се запасяват с храна, вода, лекарства, както и с вещи от първа необходимост. По пътя на Флорънс са Бермуда и Бахамите. Очаква се стихията да приближи югоизточното крайбрежие на Съединените щати в четвъртък.
Hurricane #Florence will wobble along its course to North Carolina coastline over the next few days.
— Ryan Maue | weathermodels.com (@RyanMaue) 10 септември 2018 г.
The storm will increase in size and the wind field will affect a large section of coastline. The storm surge and waves will arrive ahead of time.
Still expecting Category 4+ pic.twitter.com/mIuRtQ8v6L
Добави коментар